Nyelv:
Kezdd el!
Eladó
Kiadó
Tulajdonos vagyok
Ingatlanos vagyok
Zoomlla-funkciók
Eladó ház Szada 0m2
2111 Szada
ID: 65381
53 M Ft (-)
Terület
0 m2
Hálószobák
0
Ingatlan adatok
Típus:
Terület: 0 m2
Hálószobák: 0
Építés éve: 20+ éve
Ár: 53 000 000 Ft
Ár/m2: -
Emelet: Felső szint
Leírás
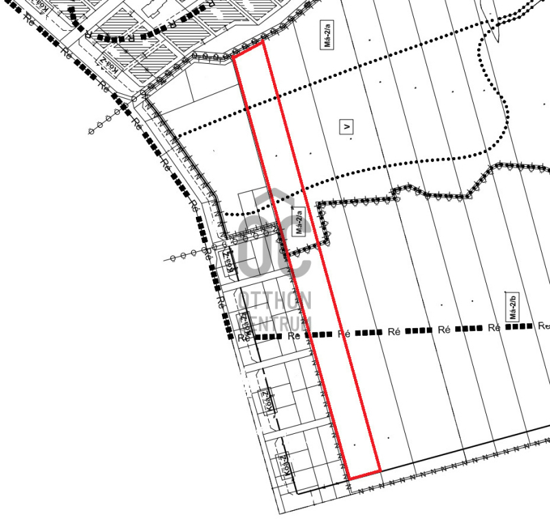
Szada belterületén, tavakhoz közel,két hektáros mezőgazdasági terület eladó.

Melynek egyik része szántó, másik része rét besorolású. Fontos, hogy két helyrajzi számon szerepel az ingatlan nyilvántartásban. Víz, ásott kútról megoldott.
A terület átminősítése folyamatban van gyümölcsössé, egy részén már kajszibarackot telepített.

---
To
...
+ Tovább olvasom
Lokáció
2111 Szada